25 a namų valdos sklypas Ūtos k.
20 000 €
ID: 8127492
Apie
Savivaldybė
Panevėžio r. sav.
Gyvenvietė
Ūtos k.
Plotas (a.)
25.00
Sklypo paskirtis
Namų valda
Ypatybės
Elektra
Geodeziniai matavimai
Asfaltuotas privažiavimas
Be pastatų
Skelbimo aprašas
25 a namų valdos sklypas Ūtos k.
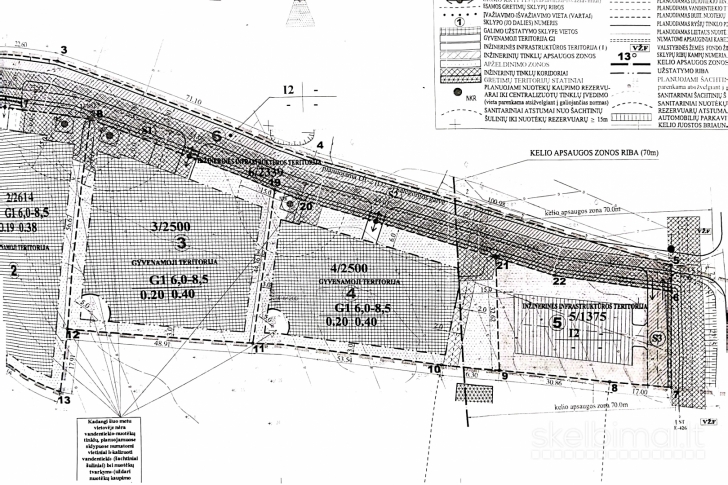
Naudojimo būdas: vienbučių ir dvibučių gyvenamųjų namų teritorijos;
Atlikti kadastriniai matavimai, yra detalusis planas;
Šalia sklypo elektros spinta;
Netoliese parduotuvė, autobuso stotelė, upė ~ 1,5 km;
Iki Panevėžio miesto ~ 3 km;
Patogi vieta Jūsų namo statybai!
Naudojimo būdas: vienbučių ir dvibučių gyvenamųjų namų teritorijos;
Atlikti kadastriniai matavimai, yra detalusis planas;
Šalia sklypo elektros spinta;
Netoliese parduotuvė, autobuso stotelė, upė ~ 1,5 km;
Iki Panevėžio miesto ~ 3 km;
Patogi vieta Jūsų namo statybai!
Kontaktai
Vardas
Saulius
Telefonas
Interneto svetainė
Miestas
Visi miestai
El. paštas




